|
Sandwich Road
Ash
Above photo, circa 1908, kindly sent by Rory Kehoe. Showing employees
from Gardner's Brewery (the large building in the background) walking
home, towards Ash, at the end of a working day. |
Above photo, circa 1935, kindly sent by Rory Kehoe. Regulars of the
pub assembled for a day out. The rear of a bus is just visible on the
extreme right. Bunting hanging from the pub is likely to have been put
up as part of King George V's Silver Jubilee celebrations. However, if
the photograph is a little bit more recent, the bunting could have been
placed there in celebration of the Coronation of King George VI, which
took place on Wednesday 12th May 1937. |
Above photo, 1960, kindly sent by Michael Mirams. |
Above photo, kindly taken by Rory Kehoe, May 2018. |
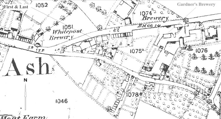
Above map 1896. |
Above photo, 1875, kindly sent by Rory Kehoe. |
|
From Kent Archives Ref: U3555/5/G2/B2/1
First & Last, Ash - 1878.
The "First and Last" (then a beer house) was part of Lot 1 in the auctioning of
the buildings and contents of the White Post Brewery.
White Post, Ash. Brewery Freehold Sale plus 5 Public Houses. By Edward
Terry at the "Bell Hotel," Sandwich. Wednesday 18th September 1878.
Lot 1. Brewery, malthouse, dwelling house, "First & Last" Public House (lately in
the possession of Mr Hopper) plus all fixtures and fittings.
Sold to Austen Gardner for £1,000. Payment authorisation, in the amount
of £1,000 to Mercer, Edwards & Mercer, solicitors (Sandwich and Deal)
signed by Richard Hobbs.
Lot 2. "Royal Arms," Lower
Walmer, near to the Royal Marines' Barracks. Lease granted by the
Trustees of the Leith Estate (99 years from 11.10.1865) at £14.4s per
annum.
Lot 3. "Park Tavern," Park
Street, Deal. Next to the Assembly Rooms.
Lot 4. "Fawn." North end of Lower
Street, Deal. Freehold.
Lot 5. "Volunteer," Buckland, Dover.
"Eligibly situated and doing an extensive trade."
Austen Gardner Jnr was one of the directors of what was then referred
to as Gardner & Godden's Brewery.
Above map 1875, kindly sent by Rory Kehoe. Showing the pub as part of
what was then the White Post Brewery. Ash boasted two breweries about
150 years ago, which were very near neighbours, both being located
adjacent to the junction of Sandwich Road and New Street.
The image shows the (geographically, upside down) plan of Lot 1 with the
"First and Last" at the bottom left of the overall plot. After 1878, the
pub became a
tied house of Gardner's Brewery, which remained the case, until the 1951
merger with Tomson & Wotton's Ramsgate Brewery, when (following the
closure of the Ash Brewery) the pub was supplied by Tomson & Wotton.
|
|
Dover Express, Friday 10 January 1936.
MYSTERIOUS ROAD ACCIDENT.
About 1 o’clock on Saturday, Eric Bromley, son of Mr. and Mrs. W.
Bromley, of the "First and Last," Ash,
while cycling to Sandwich, found a man lying unconscious in a pool of
blood with his bicycle on top of him
between the Ashens and Each End. Dr. MacCall Smith, Dr. Rose and P.C.
Tims soon arrived, and the injured
man was conveyed to Deal Hospital where he was found to have sustained a
fractured skull. He was later
identified as James Petley, an ex-naval man, of Bowling St, Sandwich,
and an employee at Ash Brewery.
There were no marks on the road and the cause of the accident is a
mystery.
|
|
From the Dover Express and East Kent News, Friday 14
January, 1938
WINGHAM PETTY SESSIONS
Approval was given to plans for internal alterations to the "First
and Last," Ash.
|
The census of 1871 states that George Bushell, aged 58, was living
at the pub with his wife Ann, aged 56. Bushell was described as a
brewer's labourer and it is safe to refer to the pub as a tied house of
the adjoining White Post Brewery. In all respects, the pub was the White
Post brewery tap. Curiously, or perhaps coincidentally, prior to the
Gardner family acquiring the brewery next door, in 1840, its owners (who
actually founded the brewery c.1837) were called Bushell.
LICENSEE LIST
DRAY William 1861+ (listed as maltman age 51 in 1861 )
HAMMOND John 1881+ (age 75 in 1881 )
PIERCE Harry 1886-Jun/1932
(also cooper age 41 in 1901 ) 
BROMLEY Mr William Jun/1932-Nov/37

THACKER Mr H G Nov/1937-Apr/1939

SEATON Frederick W Apr/1939-Nov/1940 (also roofer and heavy worker age 57
in 1939)

HARVEY Mr C R Nov/1940+

RICKARD T 1961+
https://pubwiki.co.uk/FirstLast.shtml
From the Dover Express
|